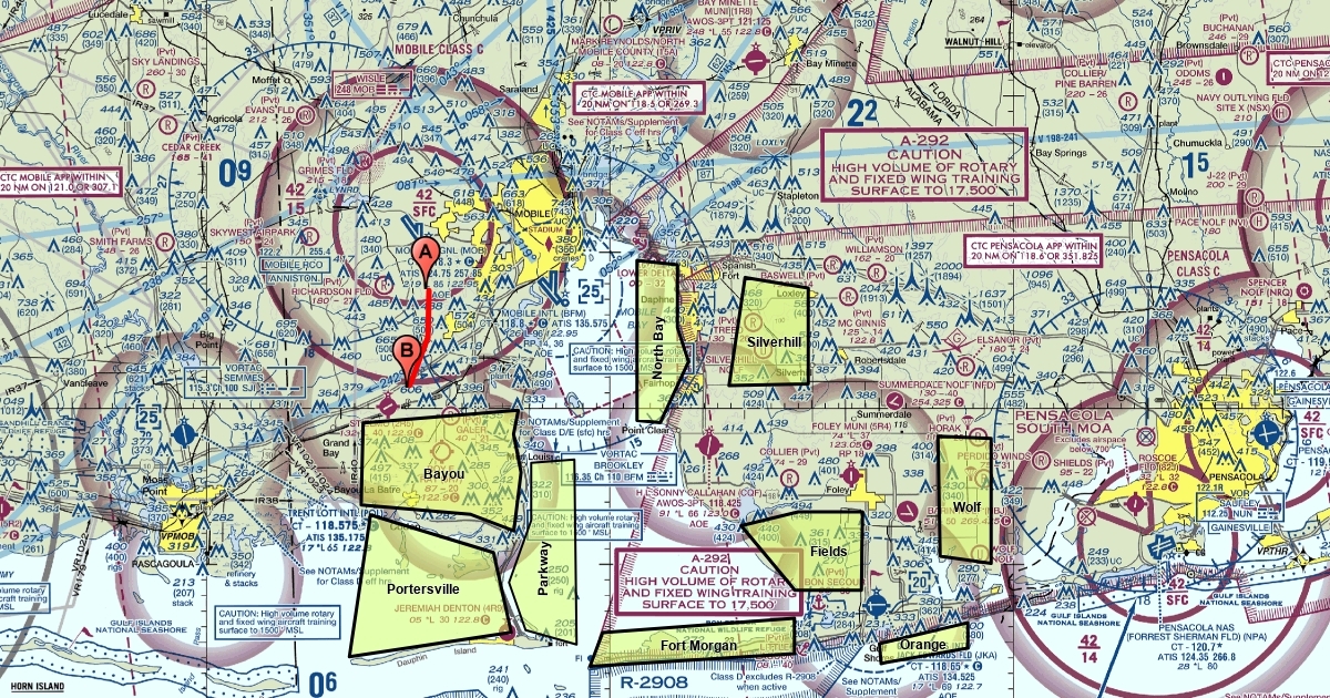
Redcel Practice Areas

Create Map

See map

X