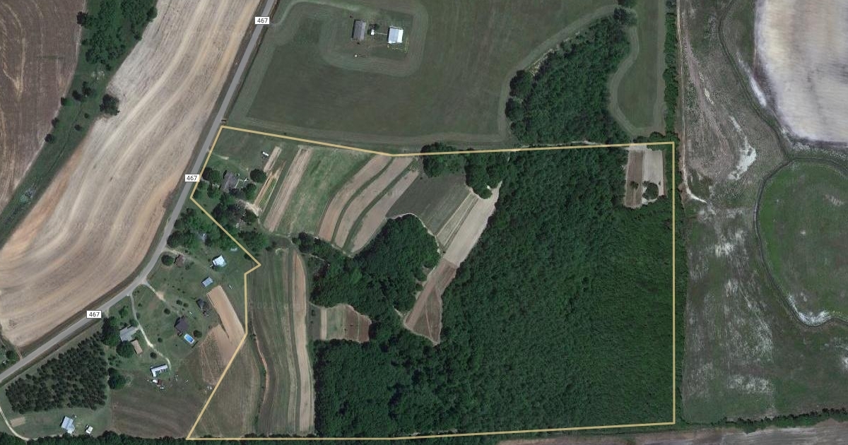
Kinston Place
Create Map
House plus 64 Ac
X