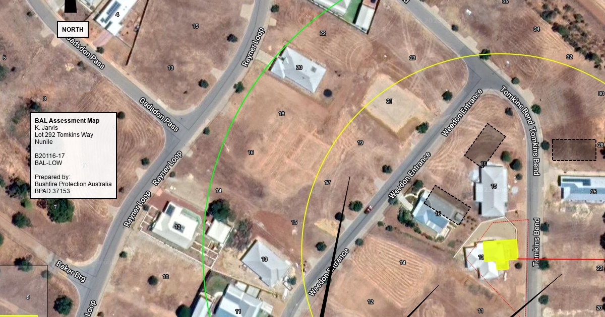
K. JARVIS BAL MAP NUNILE

Create Map

292 TOMKINS BEND NUNILE

X