FT5kCMEF

Create Map

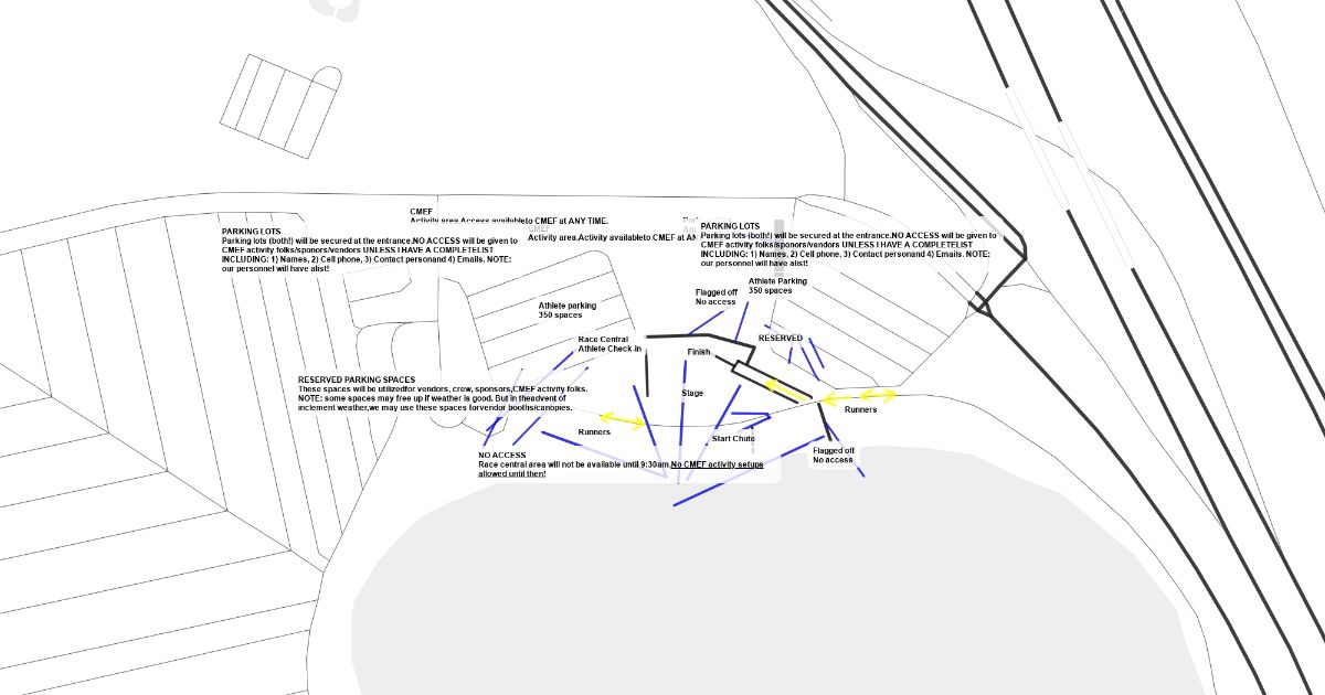
Access areas for CMEF

X